Heupdysplasie en elleboogdysplasie zijn vervelende en pijnlijke aandoeningen die bij verschillende hondenrassen voorkomen. Om te zorgen dat we gezonde honden hebben moeten we alleen fokken met ouderdieren die gezond zijn en vrij zijn van deze erfelijke ziekten. Daarvoor is het erg belangrijk om deze ouderdieren te onderzoeken op heup- en elleboogdysplasie door middel van een officieel röntgenonderzoek.
Officiële Röntgenfoto’s
Officieel onderzoek naar Heupdysplasie (HD) en Elleboogdysplasie (ED) kan uitsluitend worden uitgevoerd bij rashonden met een stamboom uitgegeven door de Raad van Beheer op Kynologisch Gebied in Nederland. Honden met een buitenlandse stamboom moeten eerst worden overgeschreven naar de Raad van Beheer.
Het onderzoek moet worden uitgevoerd door een dierenarts die een overeenkomst is aangegaan met de Raad van Beheer. Bij de Vets & Pets klinieken zijn hiervoor verschillende dierenartsen beschikbaar.
Op de website van de Raad van Beheer staat zeer uitgebreide informatie over HD en ED onderzoek:
Hoe gaat het in zijn werk?
Afspraak maken:
Voor de afspraak moet u controleren of u hond op uw naam staat ingeschreven bij de Raad van Beheer. U dient dus naast de originele stamboom in bezit te zijn van een registratiebewijs van de hond dat op uw naam staat. Verder heeft u een account nodig bij de Raad van Beheer op de website houdenvanhonden.nl. Let op: zonder dit account kunnen wij de röntgenfoto’s niet insturen! Als uw hond de juiste leeftijd heeft bereikt (zie verderop in deze tekst), kunt u een afspraak maken bij de kliniek.
Het onderzoek:
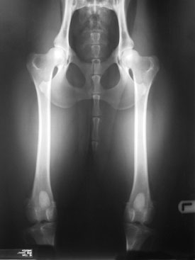
Op de dag van het onderzoek dient u uw hond nuchter te houden. In de meeste gevallen zal de hond gesedeerd (dat is een lichte narcose) moeten worden voor het maken van de foto’s. Deze moeten namelijk van hoge kwaliteit zijn. Daarvoor moet de hond exact in positie worden geplaatst en mag deze niet tegenstribbelen. Foto’s die niet aan de eisen voldoen worden niet beoordeeld door het beoordelingspanel van de Raad van Beheer en moeten opnieuw worden gemaakt.
Op de kliniek worden eerst de stamboom, het registratiebewijs en de chip van de hond gecontroleerd. Na een korte gezondheidscheck krijgt uw hond een injectie met een sedatie-middel. Als de hond voldoende ontspannen is worden de foto’s gemaakt door de dierenarts en assistente.
Voor het HD-onderzoek moet 1 foto worden ingezonden, voor het ED onderzoek 4 of 8 opnames.
Soms is het nodig meer opnames te maken, voordat de juiste positie bereikt is. De foto’s worden samen met het ondertekende inzendformulier opgestuurd naar de Raad van Beheer.
De uitslag:
De beoordelingskosten van de Raad van Beheer betaalt u al bij de kliniek. Daardoor kunnen de foto’s z.s.m. worden beoordeeld. Bij HD-onderzoek is de uitslag na enkele werkdagen bekend, bij ED-onderzoek duurt dit iets langer. Wij stellen het erg op prijs als u ons de volledige uitslag doorgeeft, liefst per e-mail, zodat wij deze kunnen toevoegen aan het patiëntdossier van uw hond.
Op welke leeftijd mag het officiële onderzoek plaatsvinden?
We kunnen vaak op vroege leeftijd met een röntgenfoto reeds vaststellen of een hond lijdende is aan HD of ED, maar voor een officiële beoordeling zijn er vaste richtlijnen:
HD röntgenfoto’s
Voor het laten maken van HD- röntgenfoto’s dient de hond minimaal 12 maanden oud te zijn. Voor enkele grote rassen, geldt een verplichte minimum leeftijd van 18 maanden.
Honden waar een minimum leeftijd van 18 maanden voor HD foto’s voor geldt:
- Berghond van de Maremmen
- Bordeaux dog
- Bullmastiff
- Duitse dog
- Landseer
- Leonberger
- Mastiff
- Mastino napoletano
- Newfoundlander
- Pyrenese berghond
- Sint Bernard
ED röntgenfoto’s
Voor een goede boordeling van de ellebooggewrichten zijn twee foto’s van de hond van beide ellebogen nodig. Voor een aantal rassen moeten de foto’s worden gemaakt in vier richtingen:
- Labrador Retriever
- Golden Retriever
- Chesapeake Bay Retriever
- Rottweiler
- Berner Sennenhond
- Duitse herdershond
- Bordeaux dog
Voor het laten maken van ED- röntgenfoto’s dient de hond minimaal 18 maanden oud te zijn. Voor enkele rassen is er een uitzondering van 12 maanden.
Voor deze rassen geldt de uitzondering, minimum leeftijd van 12 maanden voor ED foto’s:
- Bouvier de Flandres
- Golden Retriever
- Labrador Retriever
- Nova Scotia Duck Tolling Retriever
- Flatcoated Retriever
- Chesapeake Bay Retriever
- Duitse Herderhond
- Rottweiller